PVFS, ME, CFS: the ICD-11 Alpha Draft and iCAT Collaborative Authoring Platform
June 7, 2010
PVFS, ME, CFS: the ICD-11 Alpha Draft and iCAT Collaborative Authoring Platform
Post #46 Shortlink: http://wp.me/pKrrB-KK
The information in this report relates solely to proposals for ICD-11. It does not apply to ICD-10-CM, the forthcoming US “Clinical Modification” of ICD-10. For information on ICD-10-CM see Post #45.
Update @ 6 February 2011
Note that in early November, the iCAT was taken out of the public domain and you will not now be able to view the screenshots below, in situ.
Update @ 30 July 2010
The ICD Revision iCamp2 meeting which was scheduled for April and for which a copy of the Agenda is still available was evidently postponed. ICD-11 Revision Google site gives the revised meeting date as:
27 September – 1 October 2010
According to sources, a print version of the ICD-11 Alpha Draft is now expected to made available around the time that iCamp2 takes place. No Agenda is available yet for this September meeting. The ICD-11 Beta Draft is timetabled for May 2011.
Whither the ICD-11 Alpha Draft?
According to documents published by the ICD Revision Steering Group (RSG) and the Agenda for the iCAMP2 and Revision Steering Group meeting on 19-23 April 2010, it was projected that an alpha draft for ICD-11 would be ready by 10 May 2010 [Key document 1a].
The RSG meeting Agenda proposed that the alpha draft should be presented to the World Health Assembly (WHA) between 17-25 May. A proposal for a press launch was also tabled for discussion.
It is understood that the ICD-11 alpha draft is being created for internal users, was not expected to be complete by May 2010, but released as a “work in progress” towards the beta stage. The Beta Draft for ICD-11, scheduled for May 2011, will be subjected to systematic field trials. It remains unclear at what point in the timeline the Beta would be made available for public comment.
As the Minutes of the April RSG meeting are not yet available, it remains unclear how on target the alpha draft is or whether the goals for 2010 have had to be revised. (See Page 7, ICD-11 Revision Project Plan – Draft 2.0 for Project milestones and budget, and organizational overview.)
When the RSG does release information on the status of the alpha draft and the operational status of the iCAT, I will post an update.
In the meantime, I have asked for information about the availability of Topic Advisory Group proposal forms for stakeholder input, up to what stage in the development process timeline these might be used, and which stakeholders are going to be permitted to make use of proposal forms.
iCAT production server
In the posting ICD-11 Alpha Draft scheduled to launch between 10 and 17 May, 6 May, I reported that it is already possible to view a “Demo and Training iCAT Platform” and also access the iCAT production server.
I cautioned that until an official ICD-11 Alpha Draft is released, it cannot be determined how far the various Topic Advisory Groups have progressed with revising classifications and populating textual content according to a common “Content Model” for the ICD Chapters and categories of interest to us [Key document 1b].
I noted that the Demo and Training iCAT Platform, at that point, was sparsely populated for content and that the classifications and codings listed within the various chapters appeared to have been imported from ICD-10, with little discernable change – presumably as the starting point for the drafting process.
A revised Demo and Training iCAT Platform is now accessible, the content of which is also viewable on the iCAT production server and it is to these proposed revisions that I want to draw your attention.
Note that anyone can view the Demo and Training iCAT Platform and iCAT production server but only WHO, ICD Revision and IT personnel and the Managers and members of the various Topic Advisory Groups (TAGS will have editorial access. External reviewers recruited by TAG Managers will also use the iCAT to upload reviews and comment on proposals and content.
I have compiled a series of screenshots and very brief notes on what is viewable at the moment for the chapters and categories of interest to us.
Note: Screenshots are taken from the Demo and Training iCAT Platform and iCAT production server as they stood at 24 May 2010. Alpha drafting is an ongoing process and what currently appears may be subject to revision, refinement and additions. Not all the classification and content work currently being undertaken may have been entered into the iCAT.
Note also that when viewing the iCAT in your browser, the left hand side of the screen displays the ICD Categories listings with the category Definition, Term, Clinical Description, Diagnostic Criteria etc displaying on the right of the screen. Because this view is too wide to display on my website template, the screenshots have had to be split in two. On your screen, the iCAT would look like this:
All screenshots as they stood at 24 May 2010.
A wiki-like Collaborative Authoring Tool (known as the iCAT) is being used for the initial authoring of the alpha draft.
The iCAT production server and Demo and Training iCAT Platform can be accessed here:
https://sites.google.com/site/icd11revision/home/icat
iCAT production server at: http://icat.stanford.edu/
Demo and Training iCAT Platform at: http://icatdemo.stanford.edu/
Load either (they may take a minute or more to load and appear less inclined to hang in Firefox).
One loaded, you will be presented with an Entry Page – this is the My ICD Tab
Welcome to iCAT – the Initial ICD 11 Collaborative Authoring Tool!
Select the ICD Content Tab and ICD Categories by chapter will populate down the left side of the screen.
Scroll down and open up the + next to 06 VI Diseases of the nervous system
ICD Categories:
Scroll down and note that ICD-10 codings between G83.9 and G99.8 are being reorganised and have been assigned the labels GA thru GN (some of which, like GN, are parent categories with child and grandchildren categories).
Open up the + next to GN Other disorders of the nervous system
which is a parent to category Gj92 Chronic fatigue syndrome
(Note: Gj92 is known as a “Sorting label”. A Sorting label is a string that can be used to sort the children of a category. This is not the ICD code.)
Note that Postviral fatigue syndrome and Benign myalgic encephalomyelitis are not currently accounted for in the ICD Categories List as children of the parent category GN Other disorders of the nervous system. Only Chronic fatigue syndrome is listed and assigned the Sorting Label “Gj92”. [See Glossary: Inclusions]
Click on the double speech bubble icon next to Gj92 Chronic fatigue syndrome which will display 1 Category Discussion Note (Click Expand to display the full note. Discussion Notes can also be accessed via the Category Notes and Discussions Tab, from which the screenshot below, orginates).
Discussion Note for Gj92 Chronic fatigue syndrome:
This Discussion Note records a Change in hierarchy for class: G93.3 Postviral fatigue syndrome because its parent category (G93 Other disorders of brain) is removed.
Note that the removal of the parent G93 Other disorders of brain will affect other categories also classified under G93 in ICD-10, not just G93.3. Open up the double speech bubble icons next to other category listings and you can view the Discussion Notes on proposed restructuring for other G8x and G9x categories.
This is the “Change history” for Gj92 Chronic fatigue syndrome:
Next, with the ICD Content Tab selected, click on Gj92 Chronic fatigue syndrome and the Details for Gj92 Chronic fatigue syndrome will display on the right side of the screen. Allow a few moments for the text in the boxes to load.
With the Title & Definition Tab selected (the Tab may read Definition only, depending on whether you are viewing the iCAT production server or the Demo iCAT), you can view the
Details for Gj92 Chronic fatigue syndrome
To view a Glossary of Terms page, which defines the terms in the Tabs click on the blue question mark icons which will load the iCAT Glossary.
Content for Gj92 Chronic fatigue syndrome:
[See Glossary: Definition] The full text of External Definitions (imported from affiliate classification publications) which is partly hidden in the screenshot, is appended at end of this post. According to discussion on the iCAT Users Google Group, it is proposed that External Definitions might be given less prominence when displaying in the iCAT.
Now click on the Terms Tab.
Terms for Gj92 Chronic fatigue syndrome:
Benign myalgic encephalomyelitis currently appears listed under Inclusions to Gj92 Chronic fatigue syndrome.
Note that Postviral fatigue syndrome is not listed under Inclusions and that Synonyms and Exclusions for Gj92 Chronic fatigue syndrome have yet to be populated. [See Glossary: Synonyms, Inclusions, Exclusions]
Very few of the other Content Tabs have been populated but it is envisaged that they will be in due course.
I provide no screenshots for Benign myalgic encephalomyelitis or Postviral fatigue syndrome because these are not listed in the iCAT Linearized ICD Categories List. [See Glossary: ICD Title, Synonyms, Inclusions, Exclusions]
Extract from the iCAT Glossary
6. Inclusions
Short definition: Inclusion terms are either synonyms of the category titles or subclasses which are not represented in the classification hierarchy.
Details: Inclusion terms appear in the tabular list of the traditional print version and show users that entities are included in the relevant concept. All of the ICD-10 inclusion terms have been imported and accessible in the iCat. These are either synonyms of the category titles or subclasses which are not represented in the classification hierarchy. Since we have synonyms as a separate entity in our ICD-11 content model, the new synonyms suggested by the users should go into the synonyms section. In the future, iCat will provide a mechanism to identify whether an inclusion is a synonym or a subclass.
7. Exclusions
Short definition: Exclusion terms help users eliminate entities that should be assigned to a different ICD category because of differences in meaning or terminology.
Details: Exclusion terms help users eliminate entities that should be assigned to a different ICD category because of differences in meaning or terminology.
I am including some screenshots of other Chapters which will be of interest.
Chapter 5 (V) Somatoform Disorders at F45 (currently same as or near ICD-10).
(It is understood from ICD documentation that the child categories F45.40 and F45.41 are new entities for ICD-11. Note these categories do not mirror the proposals of the DSM-5 “Somatic Symptom Disorder” Work Group.)
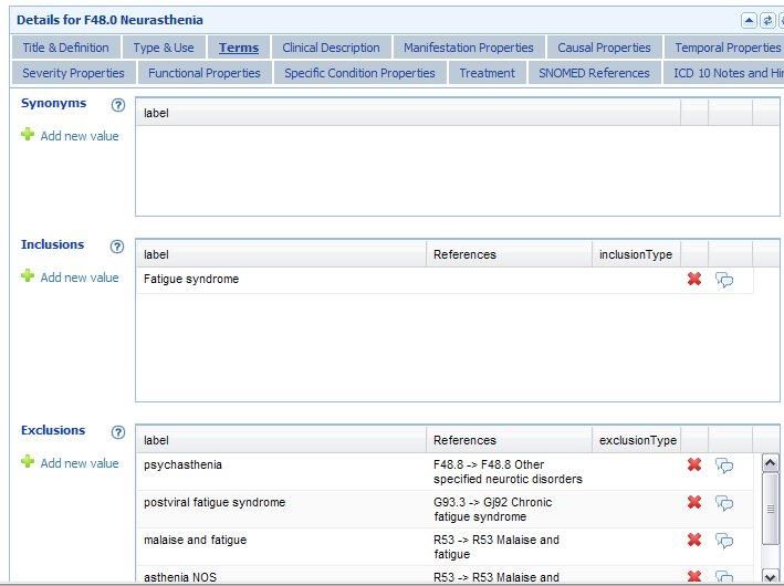
Neurasthenia remains in Chapter 5 (V) at F48.0:
Inclusions and Exclusions for Neurasthenia:
Chapter 18 (XVIII) displaying R53 Malaise and fatigue (this is the Chapter under which the US Clinical Modification, ICD-10-CM, proposes classifying Chronic fatigue syndrome, at R53.82):
Inclusions and Exclusions for R53 Malaise and fatigue:
Here are the two Category discussion Notes that appear directly beneath 06 VI Diseases of the nervous system (no ICD10 concepts from Chapter 06 VI are currently moved into either of these “holding pens”).
1 Discussion Note for: Needing a decision to be made
1 Discussion Note for: To be retired
________________________________________________________________________
External Definitions: (Imported from affiliate classification publications, these remain the same as my 6 May posting.)
External Definitions for Gj92 Chronic fatigue syndrome
A syndrome of unknown etiology. Chronic fatigue syndrome (CFS) is a clinical diagnosis characterized by an unexplained persistent or relapsing chronic fatigue that is of at least six months duration, is not the result of ongoing exertion, is not substantially alleviated by rest, and results in substantial reduction of previous levels of occupational, educational, social or personal activities. Common concurrent symptoms of at least six months duration include impairment of memory or concentration, diffuse pain, sore throat, tender lymph nodes,headaches of a new type, pattern, or severity, and nonrestorative sleep. The etiology of CFS may be viral or immunologic. Neurasthenia and fibromyalgia may represent related disorders. Also known as myalgic encephalomyeltis.
Ontology ID UMLS/NC12007_05
Edistinctive syndrome characterized by chronic fatigue, mild fever, lymphadenopathy, headache, myalgia, arthralgia, depression, and memory loss: candidate eitiological agents include Epstein-Barr and other herpesviruses.
Ontology ID UMLS/CSP2006
A syndrome characterized by persistent or recurrent fatigue, diffuse musculoskeletal pain, sleep disturbances, and subjective cognitive impairment of 6 months duration or longer. Symptoms are not caused by ongoing exertion; are not relieved by rest; and result in a substantial reduction of previous levels of occupational, educational, social or personal activities. Minor alterations of immune, neuroendocrine, and automatic function may be associated with this syndrome. There is also considerable overlap between this condition and FIBROMYALGIA.
(From Semin Neurol 1998;18(2):237-42: Ann Intern Med 1994 Dec 15;121(12):953-9)Ontology ID UMLS/MSH2008_2
008_02_04
Based only on the information visible in the iCAT as it stood at 24 May 2010, it appears that instead of:
ICD-10 (version for 2007) Tabular List
http://apps.who.int/classifications/apps/icd/icd10online/?gg90.htm+g933
Chapter VI (6)
Diseases of the nervous system
(G00-G99)[…]
Other disorders of the nervous system
(G90-99)[…]
G93 Other disorders of brain
[…]
G93.3 Postviral fatigue syndrome
Benign myalgic encephalomyelitis(with Chronic fatigue syndrome indexed to G93.3 in Volume 3: The Alphabetical Index)
that what may be being proposed at this point is:
that G83.9-G99.8 codes in ICD-10 Chapter VI: Diseases of the nervous system are being restuctured;
that G93 Other disorders of brain is removed as a parent category for G93.x codings;
that GN Other disorders of the nervous system
is now the parent to a large number of categories previously classified between G83.9 and G99.8
that GN Other disorders of the nervous system is the parent to
Gj92 (Sorting label) Chronic fatigue syndrome
that Gj92 Chronic fatigue syndrome is included in ICD-11 Chapter 06 VI Diseases of the nervous system (Neurology chapter) in the ICD Categories list as an ICD Title term;
that there is currently displaying no Gj9x Sorting label (or any other Sorting label) listing for Postviral fatigue syndrome or Benign myalgic encephalomyelitis in ICD Categories list or any Category Details for either term;
(Whether this is because Inclusion terms appear in the tabular list of the traditional print version but not in the iCAT version, or because of proposed hierarchy changes to the relationship between these three terms or because text remains to be entered into the iCAT for these two terms, cannot be determined from the information available at 10 June – please refer to Glossary of Terms which sets out the relationships between an ICD Title and its inclusion in the iCAT Categories list and between an ICD Title and its Synonyms, Inclusions and Exclusions.)
that Gj92 Chronic fatigue syndrome is an ICD Title term with a Details page, a Definition and an Inclusion term (but with no Synonyms or Exclusions or other fields yet populated);
that Benign myalgic encephalomyelitis is listed as an Inclusion to Gj92 Chronic fatigue syndrome
that in Chapter 5 (V) Details for F48.0 Neurasthenia
“postviral fatigue syndrome” is specified as an Exclusion to F48.0 with the Reference
G93.3 -> Gj92 Chronic fatigue syndrome
that in Chapter 18 (XVIII) Details for R53 Malaise and Fatigue
“fatigue syndrome postviral” [sic] is specified as an Exclusion with the References
F48.0 -> F48.0 Neurasthenia, [which is also an Exclusion to R53 Malaise and Fatigue]
G93.3 -> Gj92 Chronic fatigue syndrome
but that in the absence of further information, it is currently unclear what the proposed hierarchical status of Postviral fatigue syndrome and Benign myalgic encephalomyelitis will be in relation to Chronic fatigue syndrome, and in relation to each other. (A request for clarification was made in late June 2010 to Dr Raad Shakir, Chair, Topic Advisory Group for Neurology, but a response is still awaited at March 2011.)
[1] Key documents:
a) ICD-11 Revision Project Plan – Draft 2.0 (v March 10) [PDF format]
Describes the ICD revision process as an overall project plan in terms of goals, key streams of work, activities, products, and key participants.
b) Content Model Specifications and User Guide (v April 10)
Identifies the basic properties needed to define any ICD concept (unit, entity or category) through the use of multiple parameters.
A more recent version of the Content Model document was uploaded to the ICD Revision site on 22 February 2011.
It can be accessed here on the ICD Revision site:
Or opened here on DSM-5 and ICD-11 Watch site: Content Model Reference Guide v January 2011
c) Alpha Drafting Workflow (v 06.10.09)
Sets out lines of responsibility between the various contributors for the alpha drafting phase.














